Обзор сайта Поэзия и проза Мемуары Путешествия Фотография Графика Живопись
Галерея современного искусства АртРевю

Рифы Красного моря

Бухта Marsa Umm Gerifat

Ирина Колоскова

Ирина Колоскова

Для съемки использована камера CANON Power Shot A95 с подводным боксом. Дата: 11-18 мая 2008 года .

Бухта Marsa Umm Gerifat находится в 4 км от аэропорта Марса Алам 280 км южнее Хургады на восточном побережье Африки.
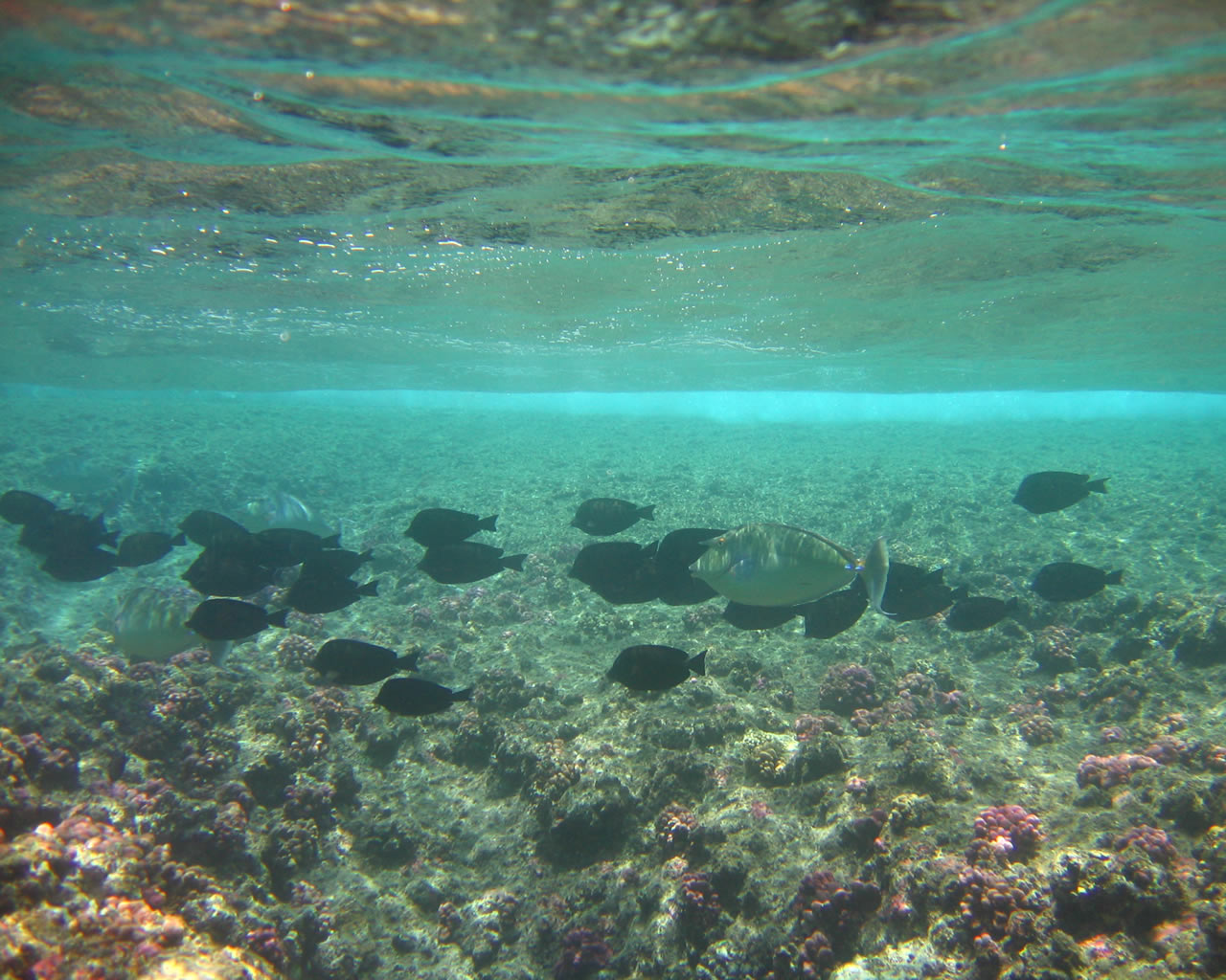
Дно бухты песчано-коралловое. С плавным, если не сказать мелким, печаным дном от линии пляжа. Хорошо защищена от ветра и волн, что дает возможность наблюдать за жизнью обитателей кораллового рифа в любую погоду даже тем, кто неуверенно держится на воде.

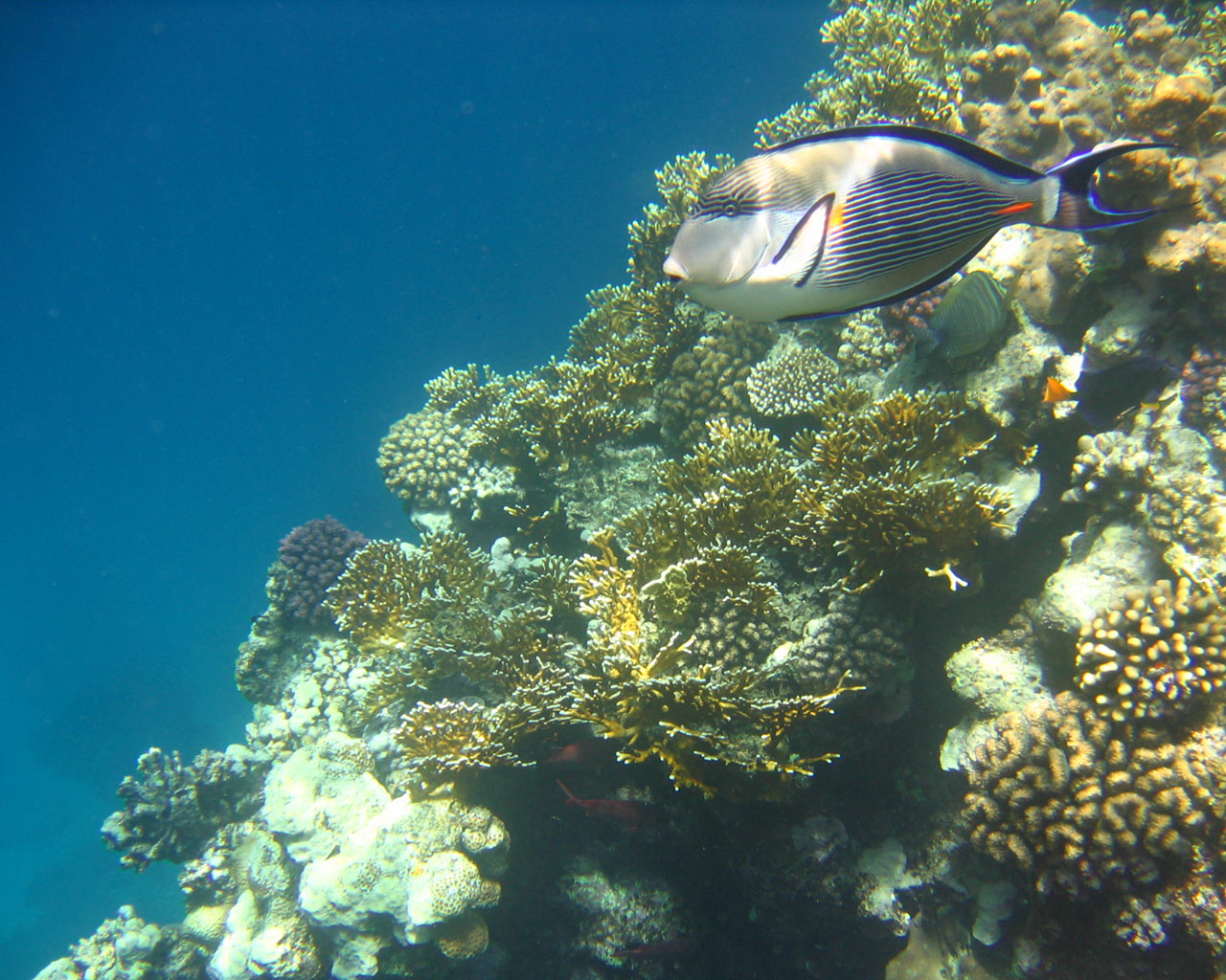
Животный мир богат и разнообразен. Непосредственно в самой бухте, не считая обычных обитателей рифов, - различных видов рыб-бабочек, рыб-попугаев, рыб-хиругов, мурджанов, рифовых окуней, эебросом, цезий, луцианов и пр., я встречала наполеонов, одиночных крупных и стайку мелких барракуд, гигантскую мурену, плоскоголова ("крокодил"), одного электрического ската, ската-орляка и бессчетное количество скатов-хвостоколов, в песчаном дне постоянно шарили усиками султанки.
Кучки песка на дне, напоминающие слабодействующий вулканчики, выдавали присутствие ночных рыб - морских углей.

Об осьминогах. К сожалению, не успела заснять удивительное зрелище - быстрое перемещение осьминога. Я наблюдала как он метнулся на 1,5 метра в сторону и уже в движении менял цвет с коричневого на белый, затем через серый стал черным, но и изменил поверхность тела. Сначала она была ровная и блестящая, и сам он напоминал первый спутник земли - гладкий круглый шар с ровными вытянутыми назад щупальцами. Мгновенное премещение, затем быстрая трансформация - осьминог обнял собой мертвый коралл и со скоростью мельтешения первых музыкальных клипов стал неподвижным, шершавым, коричневым камнем.

На берегу бухты расположены 4 пятизвездочных отеля и крупный немецкий дайвинг-центр.

бухта Marsa Umm Gerifat в Марса Аламе
Марса Алама. Бухта Marsa Umm Gerifat
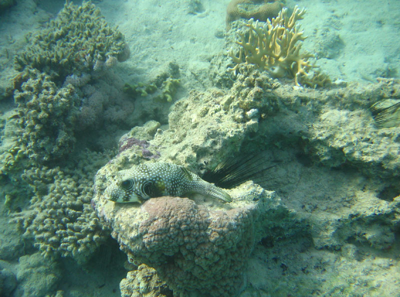
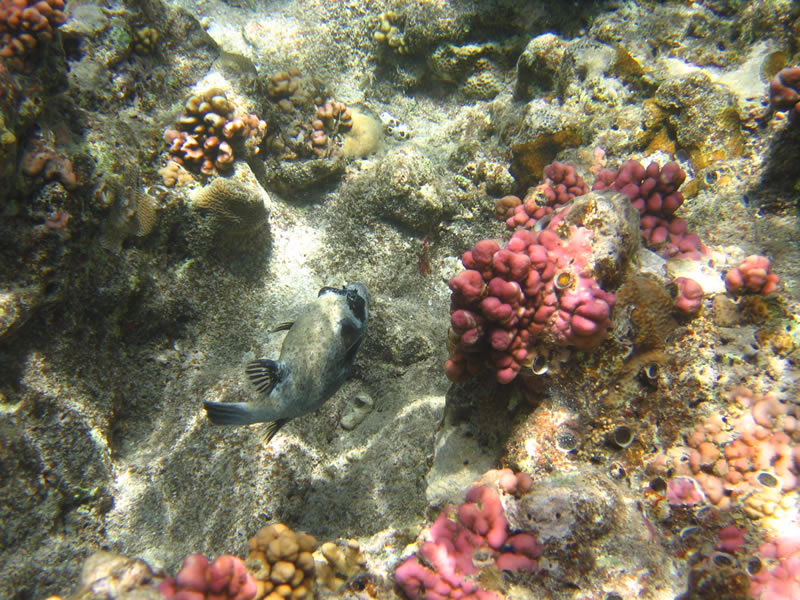
Рыба-ёж Рифы Красного моря. Масковый Аротрон Рифы Красного моря Рифы Красного моря. Арщтрон. ятнистая рыба-шар Рифы Красного моря Рифы Красного моря Рифы Красного моря Рифы Красного моря Мурена Мурена Осьминог Осьминог Крылатка в рифах Красного моря Крылатка-зебра Балистод Ангел Луцианы Рифы Красного моря Рыба-хирург Сохал Рыба-хирург Сохал Леопардоваая обачка Групер Кефаль Рифы Ящероголов Налоло Кузовок Пятнистый полуклювик Скорпинопсис Пятнистый плоскоголов Большая барракуда морской ёж рак отшельник Электрический скат Кальмар Скат Скат

На следующих фотографиях дружная команда:
Серая мурена Gymmnothorax griseus Сем. MURAENIDAE;
Коралловая гарупа Cephalopholis miniata (длина до 41 см);
Тигровая гарупа Cephalopholis argus (длина до 55 см) Сем. SERRANIDAE (ГРУПЕРЫ);
Султанки Parupeneus cyclostomus (длина до 50 см) Сем. MULLIDAE.

Я стала свидетелем удивительного поведения группы рыб, в состав которой входила серебристая, она же серая, муренка, две крупные султанки, две тигровые и одна коралловая гарупы. Необычной была не только стабильность состава компании. Члены команды защищали и прикрывали собой пугливую муренку! Мурена передвигалась, пряталась в щели среди кораллов, тут же перед входом в её убежитще вставала тигровая гарупа. Она упиралась плавниками в кораллы и не отплывала, даже когда я ныряла и снимала её с близкого расстояния. До этого случая особой смелости гаруп по отношению к себе я не замечала. Как и все обитатели рифов, они уплывают от человека. Пронаблюдав за компанией какое-то время, я поплыла дальше вдоль кораллового рифа. На обратном пути, спустя 40 минут, я легко нашла всех по яркому желто-голубому окрасу султанок. Ситуация повторилась - мурена пряталась, гарупа закрывала собой норку, остальные крутились неподалеку.

Мурена, гарупы, султанки Мурена Серая ленточная мурена Мурена Gymmnothorax griseus Ленточная мурена и тигровая гарупа Тигровая и коралловая гарупы